

-
專注于包裝設備的設計與生產
為您提供專業的包裝設備解決方案
-
全球服務熱線:
13416770167
您的位置:
首頁 >
行業資訊
m.51-led.com.cn
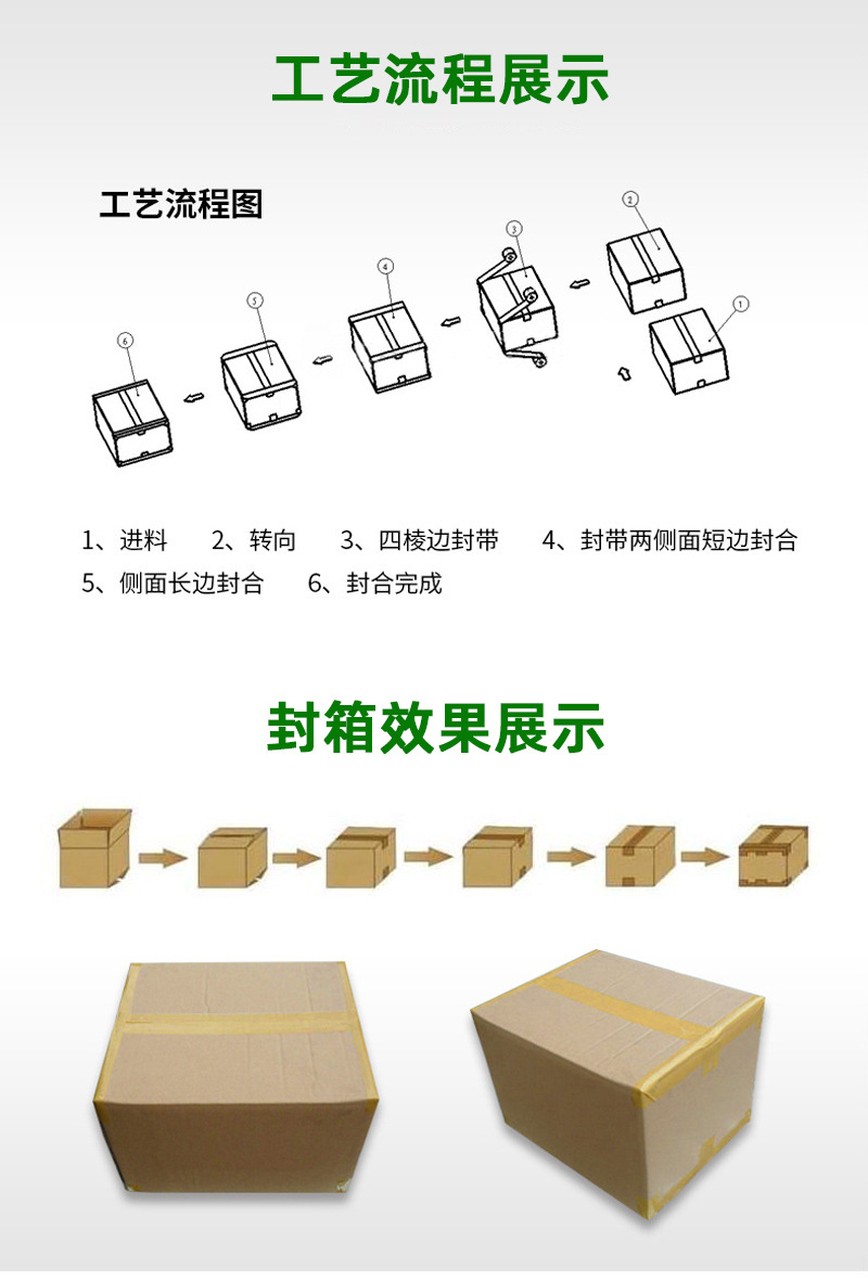
全自動工字封箱機的壓輥壓力應該如何調整
發布日期:2025-03-18
整體壓力調控
- 依據紙箱材質與厚度:不同材質和厚度的紙箱對壓輥壓力需求不同。對于薄型、質地較軟的紙質化妝品包裝盒,因其承受壓力能力較弱,壓輥壓力設為 0.6 - 1.2MPa 較為合適。而厚硬的電子設備紙箱,需要更大壓力來確保膠帶緊密貼合,壓力可提升至 1.2 - 1.8MPa。
- 在設備壓力調節面板操作:找到設備的壓力調節面板,一般位于設備的操作控制區域。通過面板上的按鍵或旋鈕,輸入或調節至對應壓力數值。調整過程需逐步進行,每次調整后觀察封箱效果。
- 檢查封箱成品判斷壓力適宜性:調整壓力后,查看封箱成品。若膠帶與紙箱間無明顯縫隙、氣泡,且紙箱表面無壓痕過深或損壞,說明壓力適宜。若膠帶粘貼不牢,有縫隙或氣泡,可能壓力過小,需適當增加壓力;若紙箱表面出現明顯壓痕甚至損壞,則壓力過大,應降低壓力。
壓力均勻性維護
- 定期檢查壓輥表面平整度:壓輥長時間使用可能出現磨損、變形。定期停機檢查壓輥表面,可用手觸摸或借助測量工具檢測。若發現表面不平整,及時修復或更換壓輥。例如,使用砂紙對輕微磨損處進行打磨修復,若磨損嚴重或變形較大,則需更換新的壓輥。
- 留意壓痕確保各部位均勻一致:在調整整體壓力時,仔細觀察壓輥在紙箱上留下的壓痕。理想狀態是整個紙箱表面的壓痕均勻,這表明壓輥各部位壓力一致,能使整個紙箱表面的膠帶都被充分壓實。若發現壓痕深淺不一,需進一步檢查壓輥安裝是否正確,或對壓力調節裝置進行校準,以保證壓力均勻性,提升封裝牢固度與密封性

















